
Nantwich
Nantwich Sales & Lettings, Wright Marshall,
56 High Street, Nantwich, Cheshire, CW5 5BB
NO CHAIN.
Positioned within a mature well established locality discreetly nestled amidst large gardens & grounds sits ‘The Meadows’. So rare is this property it is an immense opportunity for discerning buyers. The generous garden features a large lawn and various shrubs, plants & trees. The individually designed property boasts spacious & naturally light accommodation over two floors with additional loft rooms and charming balcony overlooking the garden to the rear. With a quality detached two storey garage offering potential annexe / multi generational living opportunities and extensive gated driveway there is ample scope for owner occupiers to maximise the potential in front of them.
Positioned within a mature well established locality discreetly nestled amidst large gardens & grounds
sits ‘The Meadows’. Remaining within the same family for over 40 years, this cherished home has been a tranquil yet highly convenient haven for the family who are now ready to pass the baton over for
new owners to fully enjoy. So rare is this property it makes it an immense opportunity for owners occupiers yearning to enjoy glorious surroundings, a comfortable home and with ability to add their own flair and style to make a truly delightful forever home.
The generous garden features a large lawn and well stocked borders presented in a ‘parkland style’ with much character and the seating areas provide wonderful spots in in which to relax, socialise and entertain and fully immerse yourself in the richness & unique position of your surroundings.
The distinctive individually designed property briefly comprises; Entrance Hall, Cloaks WC,
Living Dining Room, Kitchen Breakfast Room, Utility Room, Sitting Room.
First Floor Landing, Master Bedroom One, Bedroom Two (both bedrooms may access a balcony with glorious garden view), Bedroom Three, Bedroom Four, Family Bath & Shower Room.
Two loft rooms re accessed from the first floor landing via drop down ladder.
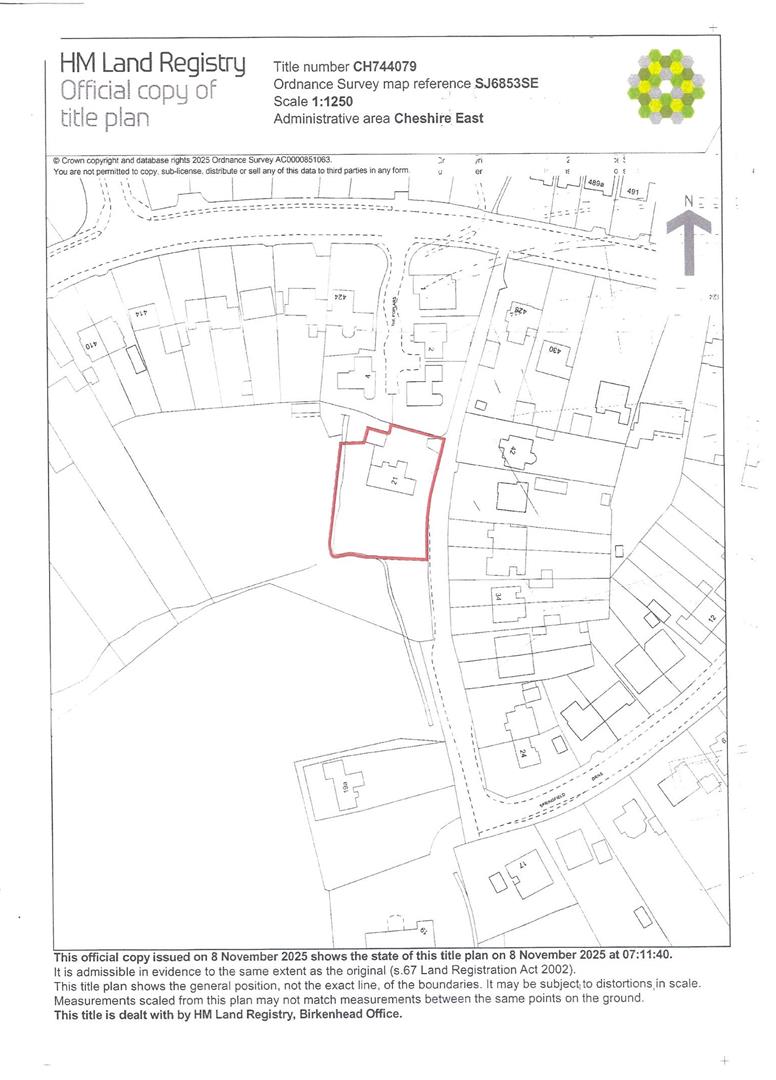
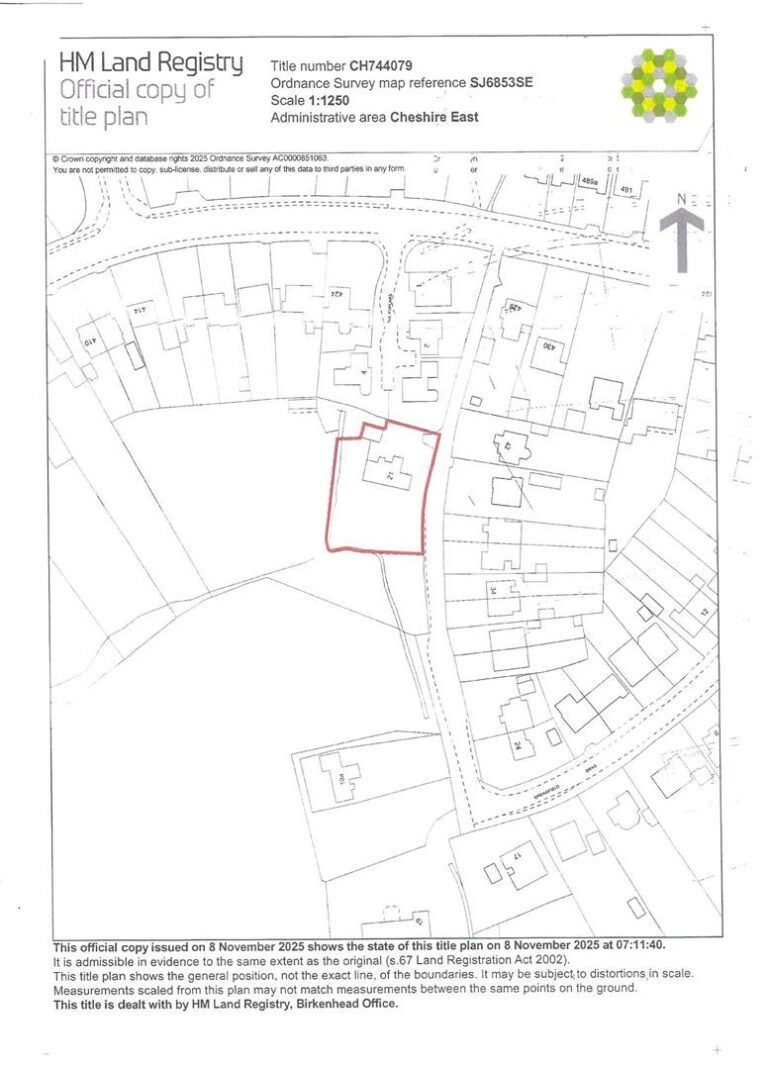
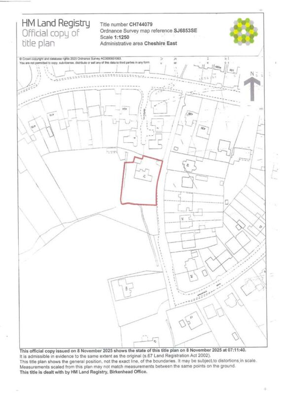
With a gated impressive entrance and large driveway / forecourt there is also a high quality detached two storey garage offering potential annexe / multi generational living, opportunities of this nature are becoming few & far between affording scope for owner occupiers or indeed developers to maximise the potential in front of them as there are so many ways in which to further evolve this fantastic individual property.
NO CHAIN
AN APPOINTMENT TO VIEW IS HIGHLY RECOMMENDED Read more
Why not speak to us about it? Our property experts can give you a hand with booking a viewing, making an offer or just talking about the details of the local area.
Find out the value of your property and learn how to unlock more with a free valuation from your local experts. Then get ready to sell.
Book a valuation
Nantwich Sales & Lettings, Wright Marshall,
56 High Street, Nantwich, Cheshire, CW5 5BB










































Lorem ipsum dolor sit amet, consectetuer adipiscing elit. Donec odio. Quisque volutpat mattis eros.
Lorem ipsum dolor sit amet, consectetuer adipiscing elit. Donec odio. Quisque volutpat mattis eros.
Lorem ipsum dolor sit amet, consectetuer adipiscing elit. Donec odio. Quisque volutpat mattis eros.